조황관리HOME / 조황관리 / 상세정보

제목 : 공현진 경진호 어구가자미 조황입니다.
등록일 : 2026-01-26
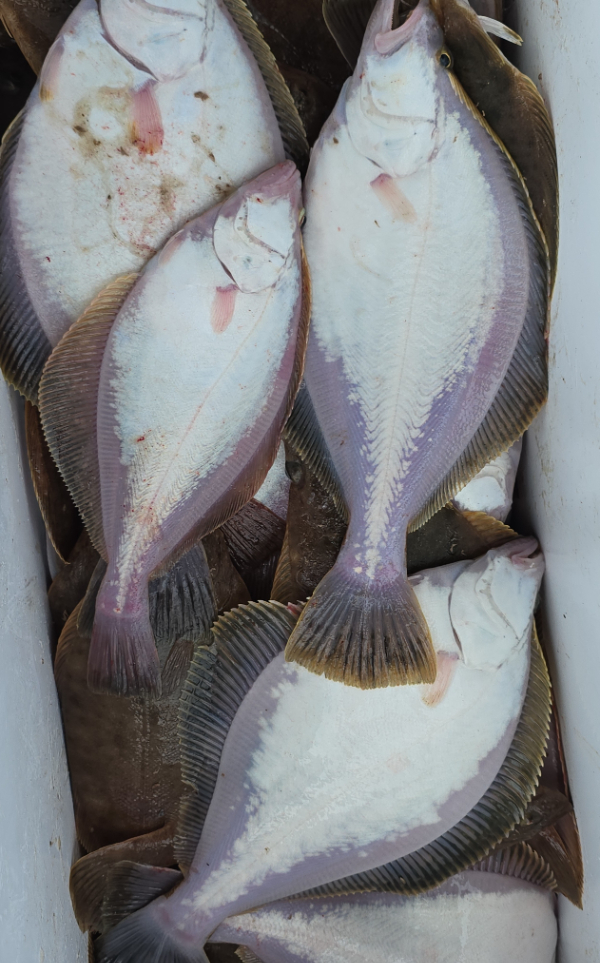
공현진 경진호 1월 26일 어구가자미 조황입니다.
아침에는 입질을 잘하다가 시간이 지날 수도 입질 하는게 줄었습니다.
오늘은 회를 원하시는 조사님이 많았지만, 씨알이 좋은 탓에 손질만 하시고 저희가 판매하는 회를 사가시는 조사님들이 많으셨습니다. 
KakaoTalk_20260126_184422260_10.jpg


KakaoTalk_20260126_184422260_13.jpg


KakaoTalk_20260126_184422260_14.jpg


KakaoTalk_20260126_184422260_05.jpg


KakaoTalk_20260126_184422260_06.jpg


KakaoTalk_20260126_184422260_07.jpg


KakaoTalk_20260126_184422260_03.jpg


KakaoTalk_20260126_184422260_04.jpg


KakaoTalk_20260126_184422260_01.jpg


KakaoTalk_20260126_184422260_02.jpg


KakaoTalk_20260126_184422260_12.jpg


KakaoTalk_20260126_184422260_15.jpg


KakaoTalk_20260126_184422260_11.jpg


KakaoTalk_20260126_184422260_16.jpg


KakaoTalk_20260126_184422260_09.jpg


KakaoTalk_20260126_184422260.jpg


KakaoTalk_20260126_184422260_08.jpg




*** 공현진 경진호 예약 안내 ***


예약문의 : 010-9026-6572

오시는길 : 강원도 고성군 죽왕면 공현진해변길 68

모바일.jpg 

Top