조황관리HOME / 조황관리 / 상세정보

제목 : 공현진 경진호 어구가자미 조황입니다.
등록일 : 2026-01-09
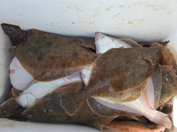
공현진 경진호 1월 9일 어구가자미 조황입니다.
오늘 파도도 없고 바람도 불지 않아 기상은 좋았습니다.
어구가자미는 꾸준히 나왔습니다.
씨알 좋은 가자미도 올라왔지만, 세꼬시용 가자미가 전에 보다는 조금 더 올라왔습니다.
오늘 출조 하신 모든 조사님들 고생 많으셨습니다.
KakaoTalk_20260109_112325049.jpg


KakaoTalk_20260109_112325049_01.jpg


KakaoTalk_20260109_112325049_02.jpg


KakaoTalk_20260109_112325049_03.jpg


KakaoTalk_20260109_112325049_04.jpg


KakaoTalk_20260109_112325049_05.jpg


KakaoTalk_20260109_112325049_06.jpg


KakaoTalk_20260109_112325049_07.jpg


KakaoTalk_20260109_112325049_08.jpg


KakaoTalk_20260109_133311236.jpg


KakaoTalk_20260109_133311236_01.jpg


KakaoTalk_20260109_133311236_02.jpg


KakaoTalk_20260109_133311236_03.jpg


KakaoTalk_20260109_133311236_04.jpg


KakaoTalk_20260109_133311236_05.jpg


KakaoTalk_20260109_133311236_06.jpg


KakaoTalk_20260109_133311236_07.jpg






*** 공현진 경진호 예약 안내 ***


예약문의 : 010-9026-6572

오시는길 : 강원도 고성군 죽왕면 공현진해변길 68

모바일.jpg 

Top