조황관리HOME / 조황관리 / 상세정보

제목 : 공현진 경진호 어구가자미 조황입니다.
등록일 : 2026-01-01
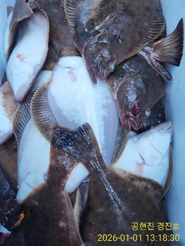
공현진 경진호 2026년 1월 1일 어구가자미 조황입니다.
새해 시작을 기분 좋게 시작하게되었습니다.
기상은 어제 보다 안좋았지만, 어제 보다 파도도 적고 날씨도 더 따스하게 느껴졌습니다.
씨알도 좋았고 어제 보다 오늘 더 쿨러 가득담아 오셨네요~
오늘 출조하신 모든 조사님들 고생하셨습니다. 새해 복 많이 받으세요~
KakaoTalk_20260101_132247283_12.jpg


KakaoTalk_20260101_120247553_01.jpg


KakaoTalk_20260101_120247553.jpg


KakaoTalk_20260101_120247553_03.jpg


KakaoTalk_20260101_120247553_04.jpg


KakaoTalk_20260101_120247553_05.jpg


KakaoTalk_20260101_120247553_06.jpg


KakaoTalk_20260101_122256801_02.jpg


KakaoTalk_20260101_122256801_03.jpg


KakaoTalk_20260101_122256801_04.jpg


KakaoTalk_20260101_132247283_11.jpg


KakaoTalk_20260101_132247283_13 (1).jpg


KakaoTalk_20260101_122256801.jpg


KakaoTalk_20260101_132247283_03.jpg


KakaoTalk_20260101_132247283_04.jpg


KakaoTalk_20260101_132247283_09.jpg


KakaoTalk_20260101_132247283_05.jpg


KakaoTalk_20260101_132247283.jpg


KakaoTalk_20260101_132247283_01.jpg


KakaoTalk_20260101_132247283_07.jpg




*** 공현진 경진호 예약 안내 ***


예약문의 : 010-9026-6572

오시는길 : 강원도 고성군 죽왕면 공현진해변길 68

모바일.jpg 

Top